(K)  A0  A+  A-    
 STRONA GŁÓWNA BIP » Poprzednia strona » Odczyt wiadomości
Menu:
Ochrona Danych Osobowych (RODO)
Status Prawny
Wydziały
Władze
Struktura organizacyjna
Jednostki pomocnicze
Jednostki podległe
Mienie komunalne
Budżet i finanse
Oferty inwestycyjne
Ogłoszenia/Obwieszczenia
Przetargi
Zamówienia publiczne
Petycje
Pożytek publiczny
Oświadczenia majątkowe
Rejestry i ewidencje
Oferty pracy
Kontakt
Wybory i Referenda
PROGRAMY, STRATEGIE
OCHRONA ŚRODOWISKA
Raport o stanie gminy
PROGRAM REWITALIZACJI
Ponowne wykorzystanie
Wniosek o udostępnienie informacji publicznej
PUBLICZNIE DOSTĘPNY WYKAZ DANYCH O ŚRODOWISKU, JEGO WYKORZYSTANIU I OCHRONIE
Obwieszczenia Wojewody Świętokrzyskiego
Instrukcja obsługi
Kontrole zewnętrzne
Spis Rolny 2020 r.
Narodowy Spis Powszechny Ludności i Mieszkań 2021 r.
Planowanie Przestrzenne
Deklaracja dostępności
Dokumenty do pobrania
Prawo Miejscowe
Jak załatwić sprawę
Redaktorzy Strony
Statystyka odwiedzin
Statystyka czytalności
Wyszukaj urzędnika
Rejestr zmian
Mapa serwisu
Wyszukiwarka


»Wyszukiwanie zaawansowane
Archiwalne menu:
Ostatnie 5 wiadomości:
» Burmistrz Miasta i Gminy Suchedniów podaje do publicznej wiadomości projekt uchwały w w sprawie wykazu kąpielisk na terenie Gminy Suchedniów na rok 2026 oraz określenia sezonu kąpielowego.
» Informacja o udzielonych umorzeniach niepodatkowych należności budżetowych, o których mowa w art. 60 ufp (zgodnie z art. 37 ust 1 ustawy o finansach publicznych) - IV kwartał 2025
» Obwieszczenie Ministra Finansów i Gospodarki informujące o wydaniu przez Ministra Finansów i Gospodarki decyzji z dnia 30 grudnia 2025 r., znak: DLI-III.7620.8.2025.BW.12.
» Ogłoszenie o przetargu z dnia 28 stycznia 2026 r. - sprzedaż prawa własności działki oznaczonej nr 1163/4
» Ogłoszenie o przetargu z dnia 28 stycznia 2026 r. - sprzedaż prawa własności działki oznaczonej nr 1162/3
  • Władze
  • Rada Miejska
  • Komisje Rady
  • Posiedzenia komisji 2018-2023 (archiwum)
  • kwiecień 2019 r. (archiwum)
  • ZARZĄDZENIE Nr 0050.7.2015 - w sprawie przyjęcia Planu Wykorzystania Gminnego Zasobu Nieruchomości

    Z dnia: z dnia 02 lutego 2015 r.

    Plan Wykorzystania Gminnego Zasobu Nieruchomości


    Data wprowadzenia: 2015-03-19 1414
    Data upublicznienia: 2015-03-19
    Art. czytany: 2584 razy

    » Załącznik - rozmiar: 61952 bajtów
    Typ pliku: application/unknown
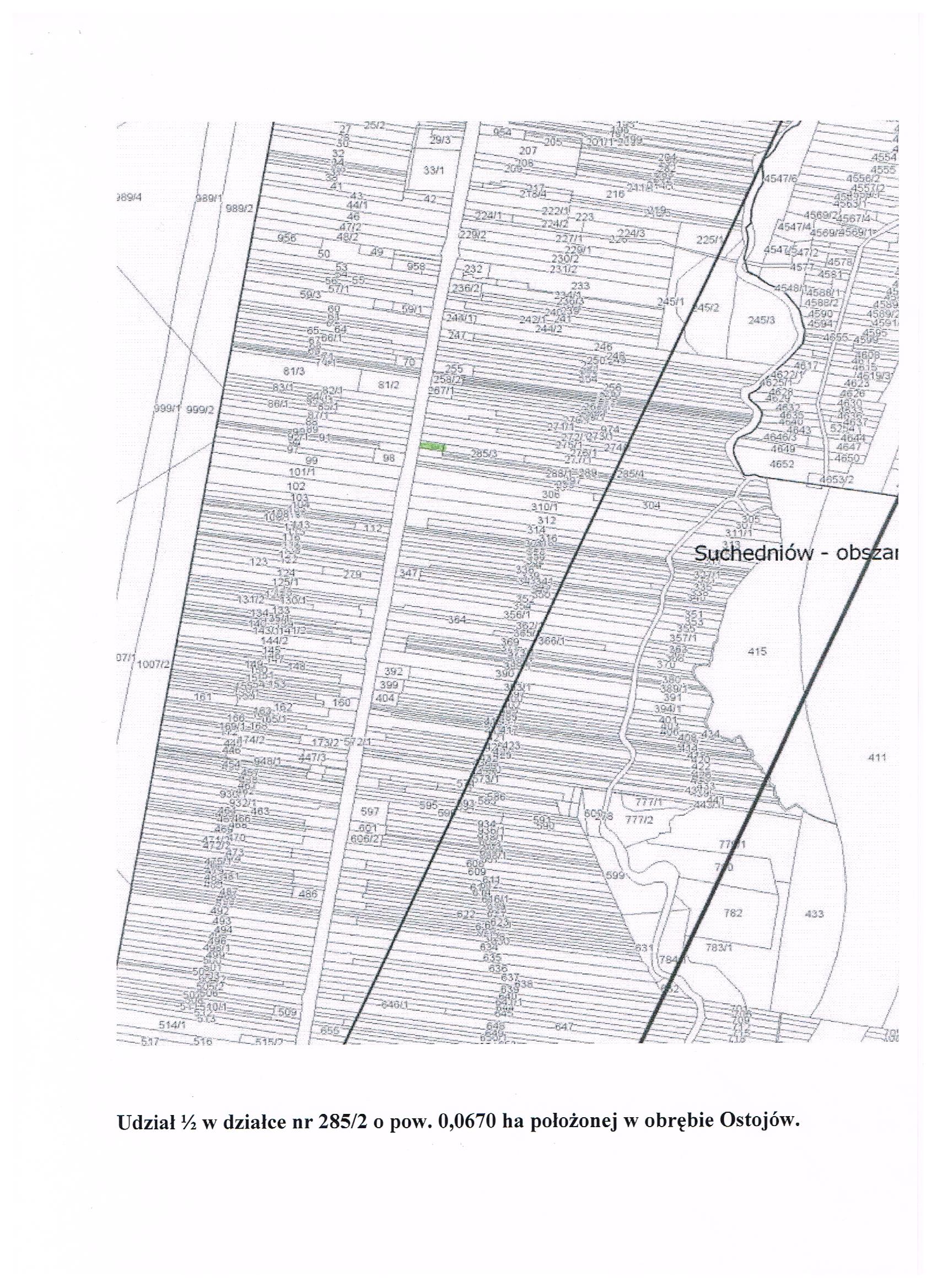
    » Zał. graficzny Nr 1 - rozmiar: 756966 bajtów
    Typ pliku: image/jpeg
    » Zał. graficzny Nr 2 - rozmiar: 717499 bajtów
    Typ pliku: image/jpeg
    » Zał. graficzny Nr 3 - rozmiar: 613578 bajtów
    Typ pliku: image/jpeg
    » Zał. graficzny Nr 4 - rozmiar: 692351 bajtów
    Typ pliku: image/jpeg
    » Zarządzenie - rozmiar: 24576 bajtów
    Typ pliku: application/unknown
    Drukowanie dokumentuWiadomość wprowadził: Ewa Kaniewska
    » Pokaż rejestr zmian dla danej wiadomości
    » Przełącz na wiadomości normalne
    Podkat. Archiwalne:
    Listopad 2018
    Grudzień 2018
    Styczeń 2019
    Luty 2019
    Marzec 2019
    kwiecień 2019 r.
    maj 2019 r.
    czerwiec 2019 r.
    Lipiec 2019 r.
    Wrzesień 2019 r.
    Październik 2019
    Listopad 2019
    Grudzień 2019
    Styczeń 2020
    Luty 2020 r.
    Czerwiec 2022 r.
    wrzesień 2022 r.
    Październik 2022 r.
    Listopad 2022 r.
    Luty 2023 r.
    marzec 2023 r.
    Kwiecień 2023 r.
    Maj 2023 r.
    Czerwiec 2023 r.
    Sierpień 2023 r.
    Wrzesień 2023 r.
    Listopad 2023 r.
    Grudzień 2023 r.
    Styczeń 2024 r.
    Luty 2024 r.
    Marzec 2024 r.
    Ostat. 10 wiadomości z archiwum:

    » Ogłoszenie - posiedzenie Komisji Budżetu i Finansów - 25 kwietnia 2019 r.
    » Ogłoszenie - wspólne posiedzenie komisji stałych Rady Miejskiej- 16 kwietnia 2019r.
    Urząd Miasta i Gminy Suchedniów